When I first got my Mooney, I traveled frequently from my Oregon home in the Columbia River Gorge to my parents' home in the Gold Country of California. Although I had flown in a Mooney for a few decades (my father's M20C/D), I hadn't owned my Mooney, Maggie, but a couple of months.
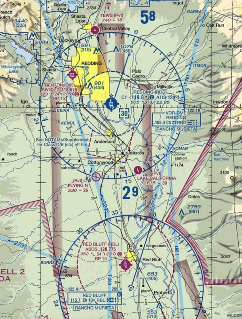
I was flying home to Oregon from California, planning a fuel stop at Red Bluff (KRBL), a small non-towered airport where the fuel prices were reasonable. The winds were gusty but pretty much right down the runway.
I flew a full pattern versus a straight-in, carrying a little extra speed to compensate for the gusts. I was going too fast on my first landing approach, and I bounced. Being pretty new at the Mooney, it only took one hop for me to decide to go around.
I told myself, "Okay, just fly the numbers, and you will do fine."
It was hot and windy, but I was determined to land safely, fill my tanks, use the facilities, and get homeward bound. It did not go as planned.
- Two more landing attempts
- Two more bounces
- Two more go-arounds
I felt embarrassed, and making those radio calls made me feel like a loser. On the last attempt, I just announced I was leaving the traffic pattern to the North.
I had flown the route enough times to know there was no fuel between me and Mount Shasta and that I didn’t have enough fuel to make it to my home base, Hood River, Oregon.
As I climbed up, I stopped listening to myself:
"People on the ground at Red Bluff were probably shaking their heads at the girl Mooney pilot that couldn't land. Just leave, leave the area, get the heck out of here. Maybe you have enough fuel to go into Dunsmuir."
What I chose to do instead was start talking to myself:
"Redding airport is right there. Stop at Redding, which has a longer and wider runway. Saving a few bucks on fuel isn't worth the risk of an incident."
Learning to fly in rural Oregon meant I had real-life experience flying in winter weather, mountain flying, and backcountry airstrips. However, I didn't have much experience flying into towered airports.
I asked myself a question that I remember to this day:
"What are you going to do, sis, fly until you run out of fuel or fly the airplane?"
I decided to fly above the Class Delta airspace, listen to the tower frequency, and ascertain the traffic flow. I flew to the area where I could fly left traffic since I was more familiar with it, contacted the tower, told them my intentions to land, and said I was unfamiliar with the airport. I had a spectacular landing and was off at the first taxiway.
You cannot control your first thought, but you can control your second thought.
You might wonder what I mean by stop listening to yourself and start talking to yourself. In stressful situations, our first thought is typically processed through a primitive part of our brain, the amygdala. This almond-shaped part of the brain is highly emotionally reactive but only gives us three or four choices. Three of them are fight, flight, and freeze.
We need to make decisions in the higher part of the brain, not in the part of the brain we share with dogs and cats. This front part of the high brain gives us endless choices and the ability to synthesize information and make decisions that are not merely reactions.
I call this part of our brain the Board Room. We have to be cognitively active in the Board Room.

Stressful first thought (reaction):
- Flight: You need to run
- Fight: You need to fight
- Freeze: Brain is offline, like a DVD on pause
Second thought (response):
- Take it to the Board Room. The high brain can consider a situation more objectively, analyze risk, assess potential courses of action, and make a decision based on wisdom versus fear.
In the example of my flight to Red Bluff, you can see that after the first bounce, I was able to use my high brain to come up with a calming, reassuring thought, "Fly your numbers." Fear only crept in when the stress of the second and third attempts overrode the Board Room.
First, I had flight ("leave the traffic pattern"), a reaction to stress and perceived judgment. Then came freeze ("climb out and circle"), the result of being a bit dazed.
I only had the insight and judgment to get to Redding Airport safely after recognizing these two fear-based reactions.
The bottom line
In an airplane or checkride/test situation, we don't want the ancient part of our brain that we share with animals to make our decisions. We need to take it to the high, front part of our brain that gives us access to a decision-making tree.
If you act on your first thought, there is a high likelihood that you are basing your decision on fear. However, if you are in control of your second thought, the chances are you are basing your decision on wisdom.
We are all entitled to our first thought (reaction), but our response to a situation must come from the front part of our brain, which only happens when we take a breath and assess the situation with wisdom before acting.
Share this
You May Also Like
These Related Articles

The IMSAFE Checklist and the Art of Preflighting the Pilot

Buying an Airplane? Ask Yourself These 4 Questions First
